Ferienhaus - 5 Personen - 25010 - San Felice Del Benaco
Alternative Objekte
In der Nähe (4)5 Personen
Übersicht
Objekt Nr.: 361-IT-25010-80
7 Übernachtungen
EUR 2.327,-
- Kurzurlaub möglich Nein
- Einkaufen 1.400 m
- Swimmingpool Ja
- Barrierefrei Ja
- Waschmaschine Ja
Beschreibung
Garden Komfortable Ferienresidenz
Haus:
Ganz neues Objekt! Das Appartement Bellavista ist ein wunderschönes, äusserst gepflegtes und modernes Objekt in einer der beliebtesten Gegenden der Westseite des Gardasees. Es befindet sich in einem Ortsteil „Portese“ der Gemeinde „San Felice del Benaco“. Dort ist es Teil einer renomierten Residence, welche das Jahr über fast nur von den Eigentümern genutzt wird, und daher wirklich ruhig. Die Ecklage im Erdgeschoß ermöglicht einen Garten auf 3 Seiten und einen eigenen Eingang. Wirklich ideal ist die Südlage, mit Sonne den ganzen Tag über und der tolle Ausblick auf die mediterrane Hügellandschaft, die an die Toscana erinnert. Das App. besteht aus 2 Schlafzimmern, 1 Bad mit Dusche, einem sehr geräumigen Aufenthaltsraum, überdachter Terrasse und wunderschönem Garten. Das I- Tüpfelchen dieses traumhaften Appartements ist die Poolanlage mit riesiger ebenerdiger Liegefläche, die man über einige Treppen erreicht. Beispielhaft gepflegt und die mediteane Bepflanzuung tut dem Auge gut und beruhigt die Seele.Dieser Garten mit dem nierenförmigwen Pool ist eine bereicherfung und unvergleichbar mit vielen anderen Residencen. Das Gute ist auch, dass es sich jhier nicht um eine reine Ferienanlage handelt. daher eignet sich das Objekt für Individualtouristen, die ja Kontakte schließen können im gemeinsamen Bereich am Schwimmbad oder einfach nur für sich genießen wollen.
Layout:
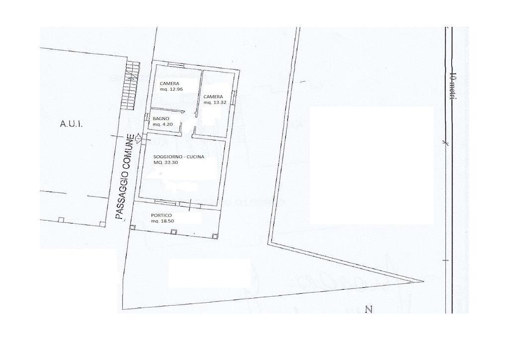
Parterre: (Wohn/Esszimmer(Schlafcouch 1 Pers., TV, Esstisch), Schlafzimmer(, Doppelbett), Schlafzimmer(, Einzelbett, Einzelbett), Badezimmer(, Toilette, Dusche, Waschbecken, Bidet)) , Eingangshalle, Internet, Waschmaschine, Heizung, Terrasse(Gartenmöbel, Liegen, Markise), Garten(Liegewiese, Gartenmöbel, Liegen, Pool), Parkplatz, Trockenschrank
Haus:
Ganz neues Objekt! Das Appartement Bellavista ist ein wunderschönes, äusserst gepflegtes und modernes Objekt in einer der beliebtesten Gegenden der Westseite des Gardasees. Es befindet sich in einem Ortsteil „Portese“ der Gemeinde „San Felice del Benaco“. Dort ist es Teil einer renomierten Residence, welche das Jahr über fast nur von den Eigentümern genutzt wird, und daher wirklich ruhig. Die Ecklage im Erdgeschoß ermöglicht einen Garten auf 3 Seiten und einen eigenen Eingang. Wirklich ideal ist die Südlage, mit Sonne den ganzen Tag über und der tolle Ausblick auf die mediterrane Hügellandschaft, die an die Toscana erinnert. Das App. besteht aus 2 Schlafzimmern, 1 Bad mit Dusche, einem sehr geräumigen Aufenthaltsraum, überdachter Terrasse und wunderschönem Garten. Das I- Tüpfelchen dieses traumhaften Appartements ist die Poolanlage mit riesiger ebenerdiger Liegefläche, die man über einige Treppen erreicht. Beispielhaft gepflegt und die mediteane Bepflanzuung tut dem Auge gut und beruhigt die Seele.Dieser Garten mit dem nierenförmigwen Pool ist eine bereicherfung und unvergleichbar mit vielen anderen Residencen. Das Gute ist auch, dass es sich jhier nicht um eine reine Ferienanlage handelt. daher eignet sich das Objekt für Individualtouristen, die ja Kontakte schließen können im gemeinsamen Bereich am Schwimmbad oder einfach nur für sich genießen wollen.
Layout:
Parterre: (Wohn/Esszimmer(Schlafcouch 1 Pers., TV, Esstisch), Schlafzimmer(, Doppelbett), Schlafzimmer(, Einzelbett, Einzelbett), Badezimmer(, Toilette, Dusche, Waschbecken, Bidet)) , Eingangshalle, Internet, Waschmaschine, Heizung, Terrasse(Gartenmöbel, Liegen, Markise), Garten(Liegewiese, Gartenmöbel, Liegen, Pool), Parkplatz, Trockenschrank
Lizenznummer: 017171-CNI-00237
Ausstattung
-
Allgemeine Information
-
Nichtraucher
-
Wohnraum70 m²
-
-
Baustil
-
Top Lage
-
-
Behindertengerecht - Entfernungen
-
Freirhöhe unter dem Waschbecken >= 70 cm
-
-
Entfernung
-
Arzt4 km
-
Bahnhof18 km
-
Diverse1 km
-
Einkaufen1,4 km
-
Flughafen52 km
-
Fährhafen13,3 km
-
Restaurants400 m
-
Zentrum200 m
-
-
Parkeinrichtungen
-
Internet Zugang
-
-
Raumgegenstände
-
Esstisch
-
Kleiderschrank
-
Spiegel
-
TV
-
-
Rund ums Haus
-
Garten
-
Gartenmöbel
-
Liegestühle
-
Parken
-
Swimming pool
-
Terrasse
-
-
Sanitär / Waschen
-
Bidet
-
Dusche
-
Heißes Wasser
-
Waschbecken
-
Waschmaschine
-
-
Sonstige
-
Heizung
-
Markise
-
Trockenschrank
-
-
Typ
-
Ferienhaus
-
-
Öffentliche Räume
-
Rasen
-
Preise und Kalender
Kalender
Dauer
Preis
Zeitraum
- Ankunft
- Abreise
- Dauer
- 1 Woche
Personen
Bis zu 5 Personen
Bitte beachten
Ankunftszeit wurde nicht ausgewählt.